Home
About
Properties
Team
Clients
News
Back To Properties Main
Property
PARKWAY PLAZA
Location
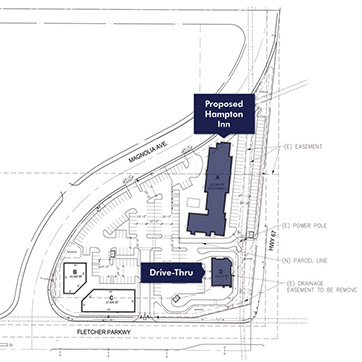
575 Fletcher Pkwy El Cajon, CA
Brochure
Description
For Lease
Freestanding Garden Center Available
Features
Strong Regional Trade Area; site located in Parkway Plaza Mall at the main intersection
Strong co-tenants: Dick’s Sporting Goods, JCPenney, Burlington, Ashley Furniture, Best Buy, HomeGoods
Strong traffic counts: Fletcher Pkwy – 34,300 ADT ; Johnson Ave – 22,200 ADT
New tenants: Kids Empire and Skyzone
Available Pad: 4,183 SF Former Sears Garden Center
Ron Pepper
858.523.2085
rpepper@riretail.com
Jeff Drew
858.523.2091
jdrew@riretail.com
FLETCHER PLAZA
El Cajon, CA